I took my PPCDL Theory Test last week and passed with a perfect score! Below are some notes I made for my own revision that might help you.
In COLREG, an overtaking vessel is defined as one within 135 degrees of the stern of a vessel infront.
The lights regulations can easily be remembered as…
Stern Light: Seen by overtaking vessel (135 degrees, towards stern of boat)
Masthead Light: Seen by non-overtaking vessel (360-135 = 225 degrees, toward bow of boat)
Port and Starboard Lights: Seen by non-overtaking vessels (225/2 = 112.5 degrees, from bow and going to each side)

The number and type of lights based on each type of vessel is also quite systematic if presented in a nice table:
| Type of Boat | Number of lights | Description of Lights |
| <7 metres and <7 knots max speed | 1 | All round white light |
| <12 metres | 2 | All round white light, and combined side lights |
| <20 metres | 3 | Masthead light, stern light and combined side lights |
| <50 metres | 4 | Masthead light, stern light and separated side lights |
| >50 metres | 5 | Masthead light, second masthead light abaft and higher of the first, stern light and separated side lights |
Generally, only boats that are powered and making way have masthead white lights. I call the combination of stern, port and starboard lights as the “3 underway lights”. If this rule is broken, generally it is because an allround white light is shown and the vessel is not underway. In these cases sidelights are not shown.
Powered vessel = masthead light
Vehicle underway = stern and side lights
Anchored vessel = one or two all round white lights
The following special cases build on the previous table.
| Type of Boat | Lights | Remarks/Interpretation/Mnemonic |
| Air cushioned vessel | 4 normal lights, and an all round flashing yellow light | ACVs are difficult to control and hence dangerous. All round warning light is helpful. |
| Towing vessel (length of tow <200m) | 4 normal lights, extra masthead light (making a total of 2), extra YELLOW stern light | Towing vessel is like two vessels moving forward so it has two masthead lights. Yellow light at the stern side so overtaking vessels are cautioned to the fact there is a long length of tow. |
| Towing vessel (length of tow >200m) | same as above + a further extra masthead light (making a total of three) | Tow is so long its like three vessels moving forward, so three masthead lights |
| Sailing Vessel | 3 underway lights (Optional: Red over green allround lights) | Sailing vessels don’t have power so they don’t have a forward light. Red over green = sailing |
| Sailing vessel (<20m) | Combined lantern of 3 underway lights | Same lights visible, but make the requirement easier for small boats. |
| Vessels not under command | 3 underway lights + two all round red lights | Red over red = not under command/aground. (But still underway, so it has sidelights, unlike an aground vessel) |
| Vessels Restricted in ability to manoeuvre | Normal lights + red-white-red allround lights in a vertical line | red-white-red = restricted in ability to manouevre |
| Vessels engaged in dredging or underwater operation | Restricted in ability to manouevre lights + two green lights on the side where it is safe to pass and two red lights on the other side | Green over green = safe to pass red over red = not safe to pass |
| Vessel constrained by draught | Normal lights/Anchored lights + 3 red lights | 3 red = constrained by draughtq |
| Pilot vessel | Normal lights + white over red all round lights | white over red = pilot vessel |
| Anchored vessel (<50m) | White all round light in fore part of vessel. | Just indicate your presence. As you are not moving, directionality is less important. |
| Anchored vessel (>50m) | White all round lights in fore part and aft part (fore light is higher than aft light) | Same as above + as you are a large boat, please have two lights. (The aft light is lower to be different from >50m powerboats making way) |
| Vessel aground | Anchored vessel lights + two all round red lights | red over red = aground/not under command Aground includes anchored lights. These are the “not under way” lights. |
Easily confused: 3 black balls = aground vessel. 3 red lights = vessel constrained by draught.
We also need to know about key islands and maritime features of Singapore
It is said Singapore has 63 islands, but I believe this is a dated count. A number of islands have been merged either to each other, or to Singapore Island by means of land reclamation. Some islands have also been created this way.
| Beacon | Remarks |
| Serebut Beacon | South of Jurong Island |
| Cyrene Beacon | East of Jurong Island , South of PSA Pasir Panjang |
| Sebarok Beacon | |
| Selegie Beacon | South of Sentosa |
| Sakijang Beacon | |
| Changi Beacon |
| Prohibited Maritime Features | Remarks |
| Changi Naval Base | |
| Tuas Naval Base | |
| Tuas Dangerous Goods Jetty / Tuas Explosives Jetty | 400m within head – no stopping/anchoring 200m within head – no entry 60m within ramp – no entry |
| CAFHI Jetty | Changi Airport Fuel Hydrant Installation. Located east of Changi beach park, west of Tanah Merah Oil tankers deliver fuel to the airports here. |
| Chek Jawa | Nature reserve in the South East corner of Pulau Ubin. Accessible by land, but not by water. |
| Bedok Jetty | Keep 30m away |
| Sembawang Wharves | A port near the northmost tip of Singapore. |
| Marina Bay and Beyond | Singapore River, Kallang River, Kallang Basin, Rochor River, Geylang river |
| Selat Sengkir | Between Pulau Brani and Sentosa, towards the east. Police Coast Guard base. |
| Pulau Bukom | Oil refinery Bukom and Busing are connected by bridges. The pair of islands is near both Jurong Island and PSA Pasir Panjang. The islands are also notably north of Pulau Hantu. |
| Pulau Busing | Oil storage |
| Pulau Sebarok | Oil and chemical storage South east from Bukom and Busing. Near to Semakau. |
| Singapore Cruise Centre restrictions | Height restriction of 50m on entry due to cable cars. Between Labrador park and northwest corner of Sentosa. No entry beyond turning circle, south east of Keppel island. |
| Jurong Island | |
| Southern Islands Live Firing Areas | |
| Pulau Satumu (Raffles Lighthouse) | |
| West Johor Straits Live Firing Area |

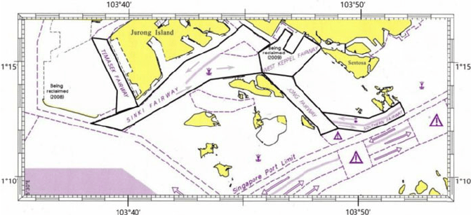
Some important fairways, left to right: Temasek Fairway, Sinki fairway, West Keppel Fairway, Jong Fairway, Southern Fairway
Other fairways to know:
West Jurong Channel – Between Pulau Jong and North west of Jurong Island
East Jurong Channel – Between Pulau Jong and North east of Jurong Island
Sisters Fairway – Between Sisters islands and St John’s Island
East Keppel Fairway – Just east of Sentosa and the southern islands
Eastern Fairway – East of east keppel fairway
11 mandatory items:
4 for making presence known – navigation lights, horn, AIS, flares (3 for open deck boat, else 6)
3 related to sinking – life buoy (1 for every 4 pax), life jackets (1 per pax), bailer
2 related to fire – fire extinguisher, fire bucket
2 related to boating – anchor, oars
4 Flags to know
Alpha: Vessel engaged in underwater operations

Bravo: Vessel carrying dangerous goods or engaged in dangerous operations

Hotel: Pilot on board during pilotage duty

Quebec: “Healthy” vessel requesting free pratique, or vessel in quarantine.

2 thoughts on “PPCDL Theory Test / COLREG – some key information”